VIRTUAL TOURS TOUR OUR LISTINGS ANYTIME

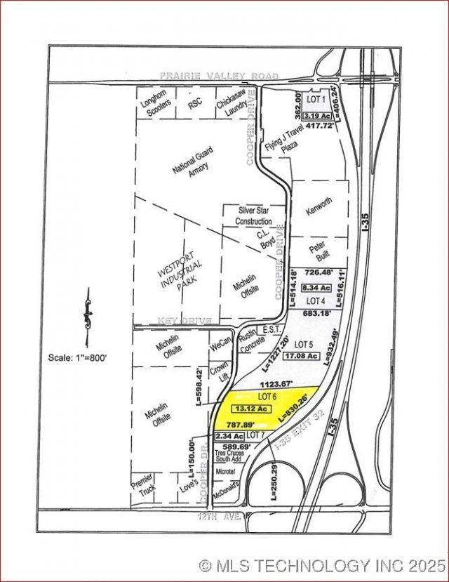
6 Cooper Drive , Ardmore, OK 73401

$3,429,043
  • 6 Cooper Drive , Ardmore, OK 73401 Main Photo

1 Total Photos [Click to View All]

Active
LOT SIZE 13.120 acres MLS#2548269
STATUSActive PROPERTY TYPELand - Commercial SUBDIVISIONFlying J Travel Plaza Add SCHOOLArdmore - Sch Dist

Property Description

ZONED LIGHT INDUSTRIAL!! City Utilities are available. All numbers and measurements to be determined by Survey. MORE OR LESS LAND CAN BE PURCHASED

6 Cooper Drive | MLS# 2548269

This land located at 6 Cooper Drive , Ardmore, OK 73401 is currently listed for sale with an asking price of $3,429,043. The property has approximately 13.12 Acres. Cooper Drive is located within the Ardmore - Sch Dist school district. Search Ardmore real estate on www.kimmihouston.com today.

Property Features

Property Type: Land - Commercial
Lot Size: 13.12 Acres
Taxes: $4,720

Feature Descriptions

Days on Site: 99
Fencing: Partial
Parcel#: 0445-00-001-006-0-001-00
Utilities: Sewer Available
Water: Not Connected

Local Schools

School District: Ardmore - Sch Dist

Listed By / Shown By

Listed By

Agency Name: Claudia & Carolyn Realty Group

Shown By

Agent Name: Kimmi Houston
Agent Phone: (405) 823-2515
Agency Title: Chinowth & Cohen

IDX logo

Estimate Your Payment

Estimated Payment

$ 9,025.04 per month $7,631.56 Principal & Interest $393.33 Property Tax $1,000.14 Homeowner's Insurance

Change Payment Information

%
years/fixed
yearly
yearly (est.)
(Payments are an estimate and may vary by lender)

Login to My Homefinder

Pixel