VIRTUAL TOURS TOUR OUR LISTINGS ANYTIME
Refine Search

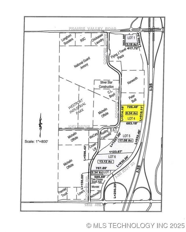
2010 Cooper Drive , Ardmore, OK 73401

$2,179,742
  • 2010 Cooper Drive , Ardmore, OK 73401 Main Photo

1 Total Photos [Click to View All]

Active
LOT SIZE 8.340 acres MLS#2548272
STATUSActive PROPERTY TYPELand - Commercial SUBDIVISIONFlying J Travel Plaza Add SCHOOLArdmore - Sch Dist

Property Description

ZONED LIGHT INDUSTIRAL! I-35 visibility. MORE OR LESS ACREAGE CAN BE PURCHASED

2010 Cooper Drive | MLS# 2548272

This land located at 2010 Cooper Drive , Ardmore, OK 73401 is currently listed for sale with an asking price of $2,179,742. The property has approximately 8.34 Acres. Cooper Drive is located within the Ardmore - Sch Dist school district. Search Ardmore real estate on www.kimmihouston.com today.

Property Features

Property Type: Land - Commercial
Lot Size: 8.34 Acres
Taxes: $2,936

Feature Descriptions

Days on Site: 99
Fencing: Partial
Lot: Other
Parcel#: 0445-00-001-004-0-001-00
Utilities: Sewer Available
Water: Not Connected

Local Schools

School District: Ardmore - Sch Dist

Listed By / Shown By

Listed By

Agency Name: Claudia & Carolyn Realty Group

Shown By

Agent Name: Kimmi Houston
Agent Phone: (405) 823-2515
Agency Title: Chinowth & Cohen

IDX logo

Estimate Your Payment

Estimated Payment

$ 5,731.59 per month $4,851.16 Principal & Interest $244.67 Property Tax $635.76 Homeowner's Insurance

Change Payment Information

%
years/fixed
yearly
yearly (est.)
(Payments are an estimate and may vary by lender)

Login to My Homefinder

Pixel